B.7 Tectonic evolution
B.7.1 Early ductile deformation
The prominent structural feature documenting intense ductile deformation of the crust at high temperature is the foliation of the gneisses and metabasites. This foliation is partly refolded and a second generation schistosity has developed in the course of progressive deformation (Fig. B.7.1).

Fig. B.7.1: Folded interlayering of hornblende-biotite gneiss and sillimanite-biotite gneiss between 807.45 and 812.20 m.
In the gneisses three types (end members) of fabrics can be distinguished, each reflecting a certain combination of original fabric, imposed strain and crystallization of the minerals:
(1) medium-grained, flaser structure (Fig. B.7.2)
(2) medium-grained, differentiated layering (Fig. B.7.3)
(3) fine-grained, pronounced compositional banding (Fig. B.7.4)
Fig. B.7.2: Sillimanite-biotite gneiss with medium grained flaser fabric
of type (1).
(Core piece 571A1a, 2360.4 m, scale in cm).
Fig. B.7.3: Sillimanite-biotite gneiss with medium grained, differentiated
layered fabric of type (2).
(Core piece 753C1kK, 3075.9 m, scale in cm).
Fig. B.7.4: Fine-grained, mylonitic sillimanite-biotite gneiss of fabric
type (3) (SIL-BIO) in contact with biotite-hornblende gneiss (BIO-HBL). The
hornblende gneiss shows granular plagioclase and weak foliation.
(Core piece 612A1a, 1997.7 m, scale in cm).
Fabrics of type (1) are due to growth of plagioclase porphyroblasts after development of a pronounced schistosity (Fig. B.7.5). The same holds true for type (2) fabrics which reflect a stronger compositional differentiation during the earlier stages of progressive deformation and metamorphism (Fig. B.7.6).
Fig. B.7.5: Flaser structure of gneiss fabric type (1). Sillimanite-biotite
layers (SIL-BIO) and elongated quartz-feldspar augen (QRZ-FDS) form an anastomosing
foliation. A shear band foliation (SBF) is weakly developed.
(Thin section 571A1a, 2360.4 m, + nicols).

Fig. B.7.6: Gneiss fabric of type (2). Differentiated layering documented
by continuous quartz-feldspar-rich layers (QRZ-FDS) and sillimanite-biotite-rich
layers (SIL-BIO).
(Thin section 753D1m, 3076.5 m, + nicols).
Fabrics of type (3) are interpreted to have developed in zones of high strain accumulation. The microfabrics are characterized by equigranular fine-grained aggregates of plagioclase obviously formed by dynamic recrystallization of coarse grains. These are locally preserved as porphyroblasts embedded in the fine-grained matrix ("core and rim structure"; Fig. B.7.7, B.7.8). Quartz forms coarsegrained ribbons (Fig. B.7.9). Biotite reveals a sharp preferred orientation.The high angle grain boundaries in the feldspar aggregates form "120° triple junctions"; all minerals are optically strain-free, as far as not affected by later deformation (Fig. B.7.10). This points to low stress annealing after high-temperature flow of the rock. Fabrics of type (3) may result from deformation of rocks resembling type (1) and (2) in shear zones developed after the growth of the porphyroblastic plagioclase. The long axes of the aggregates of recrystallized plagioclase and of the quartz ribbons, as well as streaks of fragmented garnet define a stretching lineation. This lineation is paralleled by the axis of small tight to isoclinal folds.
Fig. B.7.7: Plagioclase clast (PLG) without recrystallized seam in gneiss
of fabric type (3). An asymmetric shape of sigma-type is generated by ribbon
quartz (QRZ).
(Thin section 424G1l3, 1882.5 m, + nicols).
Fig. B.7.8: Plagioclase clasts (PLG) in gneiss of fabric type (3). Coarse
host grains are embedded in a fine-grained matrix (MTX) and form "core
and rim structures". Elongated, coarse-grained ribbon quartz (QRZ) surrounds
the porphyroclasts and defines the foliation.
(Thin section 552E1wKII, 2309.6 m, + nicols).
Fig. B.7.9: Gneiss fabric type (3). Coarse-grained ribbon quartz (QRZ) with
sutured grain boundaries in a fine grained quartz-feldpar matrix (MTX). Undulose
extinction in quartz results from a late stage of deformation.
(Thin section 922A1b, 3775.9 m, + nicols).
Fig. B.7.10: Plagioclase aggregate in gneiss fabric of type (3). Microfabric
is characterized by equigranular grains with straight grain boundaries, forming
120° "triple junctions".
(Thin section 139C6T, 705.6 m, + nicols).
The fabrics of the metabasites reflect a highly inhomogeneous strain-field. In places, the metagabbros have remained essentially unstrained with their magmatic fabrics preserved despite extensive metamorphic reactions. The amphibolites are in part derived from the same protoliths and owe their distinct fabric to a higher strain suffered during high-temperature deformation (Fig. B.7.11). The foliation of these rocks is defined by a weak lattice and shape preferred orientation of the amphiboles. Local shear zones and conspicuous flaser gabbros reflect strain rate gradients. Marked compositional layering is restricted to the amphibolite-calcsilicate series occurring in the uppermost section of the hole down to 460 m.
Fig. B.7.11: Microfabric in medium-grained, foliated amphibolite. Grain
boundaries in a hornblende aggregate are straight and meet in "triple
junctions".
(Thin section 59B6d, 401.2 m, + nicols).
B.7.2 Late deformation in the semi-brittle and brittle field
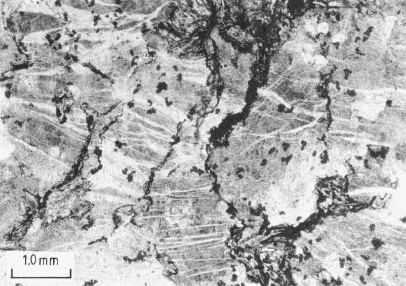
The interval 3000 - 3500 m is dominated by mesoscopic folds with 30 to 50° inclined axial planes and compressive kink bands with steep kink band boundaries. Transition into SE-trending reverse faults is frequent (Fig. B.7.12, B.2.3.c). The microfabric of both shows recrystallization of quartz and cataclasis of plagioclase. The polyphase deformation in the brittle field has started with the development of subvertical tension gashes primarily within the metabasites (Fig. B.7.13). There they are mineralized with prehnite ± epidote ± actinolite (prehnite-actinolite facies). They never cut other brittle structures. The oldest of three later generations of reverse faults is observed only below 3050 m and is due to an E-W compression (Fig. B.7.14.a). The second generation of reverse faults, resulting from NE-SW compression, are observed in the entire hole. They are characterized by graphite enrichment on the fault planes within the corresponding cataclasites of the gneisses (Fig. B.7.14.b and B.7.15). In one case a lamprophyre has intruded a graphite-cataclasite (Fig. B.7.16). As the lamprophyres are probably slightly younger than the granite intrusion age of 311 Ma (Wendt et al. 1986), this might imply a late-Variscan age for this graphite bearing fault generation. A third generation of (oblique) reverse faults was generated by N-S compression (Fig. B.7.14.c and B.7.17).
Fig. B.7.12: Tight to open fold in sillimanite-biotite gneiss of type (2).
(Core piece 798D1r, 3272.0 m, scale in cm).
Fig. B.7.13: Low-temperature metamorphic overprint in metagabbro: fissure
mineralized with zeolite (ZEO), prehnite (PRH) and calcite (CAL).
(Thin section 326D1p, 1559.9 m, // nicols).
Fig. B.7.14: Fault populations. Poles of slickensides with traces of affiliated striae are shown following Hoeppener (1955). The arrows indicate the shear sense of the hangingwall. The different generations are indicated by a, b, c, d (early to late).
Fig. B.7.15: Cataclasite in the fault zone from 192 - 194 m. Graphite is
abundant in the matrix and on slickensides.
(Core piece 27A2a, scale in cm).

Fig. B.7.16: Small scale reverse fault in paragneiss is cut off by lamprophyre.
(Drawing of core piece 536A1b, 2257 m).

Fig. B.7.17: Graphite-bearing cataclasite is displaced along a reverse fault.
(Drawing from thin section 617H1tK, 2537.8m).
Normal faults in metabasites and in gneisses with subhorizontal foliation are the result of an E-W extension. Open folds as well as extensional kinks in sections with nearly vertical foliation (Fig. B.7.18) are other features of this extension direction. Such folds and kink bands are common from 1700 to 2500 m and have near horizontal axial planes and kink band boundaries. The faults are mineralized with laumontite and often follow older structures in their orientation (Fig. B.7.14d).
The volumetric proportion and individual thickness of cataclasites tends to decrease with increasing depth (Fig. B.7.18). Fault breccias of several dm thickness are restricted to the upper part of the hole (Fig. B.7.19). Down to 3575 m, sections with more than 0.5 Vol.-% of cataclastic rock (measured per 50 m) are often bound to large contrasts in competence (Fig. B.7.18). The reduction in thickness of brittle shear zones is probably a consequence of increasing confining pressure due to increasing depth (Sammis et al. 1980, 1986; Anderson et al. 1980, 1983).
Fig. B.7.18: Synoptic diagram of lithology, attitude of foliation, sense of shear of faults, mineralization of slickensides, Vol.-%, number and thickness of cataclasites versus depth.

Fig. B.7.19: Fault breccia in amphibolite. Coarse-grained, angular porphyroclasts
are embedded in a fine-grained matrix.
(Core piece 283B1e, 1351.4 m, scale in cm).
Quartz, calcite, chlorite, prehnite, laumontite, feldspars and sulphides represent the fissure minerals (Figs. B.7.13, B.7.20, B.7.21). Calcite is prominent in amphibolites and lamprophyres, whereas it is subordinate in gneisses compared with laumontite. Prehnite (and epidote) mineralization increases with depth, while laumontite decreases (B.7.18).

Fig. B.7.20: Fissure within hornblende-biotite gneiss, mineralized with
epidote (EPD), grown normal to fissure planes and younger calcite (CAL).
(Thin section 633A2aK, 2614.73 m, // nicols).
Fig. B.7.21: Fissures within garnet-biotite gneiss, mineralized with albite
and/or zeolite.
(Thin section 838A1c, 3429.7 m, // nicols).
From 3447 m to final depth several, maximum 1 cm wide, open fissures filled
with methane and helium bearing saline brines were intersected. Dissolved
gases without detectable associated formation water were present in some fault
zones up to 1100 m (cf. chapter C.2). Fig B.7.22 shows a normal fault zone
consisting of cataclasite and a ultra-cataclasite with fault gouge (3200 m),
and Fig.B.7.23 an open fissure with calcite crystals (3447 m): both yielded
gas.
Fig. B.7.22: Cataclasite and thin ultra-cataclasite with fault gouge of
a dm-thick normal fault zone in fine grained gneiss.
(Core pieces 782A1a-h, 3199.4 m, length 15 cm).
Fig. B.7.23: Open fissure within sillimanite-biotite gneiss, mineralized
with calcite crystals. This fissure was filled with a methane- and helium-bearing,
high saline brine.
(Core pieces 843C1h-k, 3447 m, total length 26 cm).
B.7.3 Synopsis of deformation and metamorphism
The polystage metamorphic development included early high-pressure stages. Judging from recent discovery of an retrogressed eclogitic rock in the immediate neighbourhood of the KTB pilot hole (Röhr et al. in prep.) eclogite facies conditions seem possible for the borehole rocks. This stage was followed by a high-pressure granulite facies stage, documented by various clinopyroxene-plagioclase-quartz symplectites, an amphibolite facies metamorphism and a late low-temperature alteration.
A tentative p-T-path is constructed from preliminary geothermobarometric results:
Minimum conditions of 14 kbar, 730 °C are indicated from albite-jadeite-quartz barometry (Holland 1980) and garnet-clinopyroxene geothermobarometry (Ellis and Green 1979) using clinopyroxenes included in garnet.
The jadeit-content of the clinopyroxene symplectites around 10-mol-% indicate equilibration around 10 kbar for the inferred temperatures. The same pressure and temperature range is indicated by garnet-kyanite-plagioclase-quartz geothermobarometry.
Pressure and temperature of the amphibolite facies stage were determined as 675 ± 50 °C and 7 ± 1 kbar by Reinhardt and Kleemann (1989) for the garnet-sillimanite-kyanite-biotite paragenesis of the gneisses.
The ductile deformation of the metabasites is characteristic of that formed at high-temperatures.
The deformation in the semi-brittle and brittle field took place under greenschist facies conditions. It started with tension gashes and close to open folds. Slickensides and fissure mineralization have developed during stepwise decreasing temperatures and pressures.
B.7.4 Implications for tectonics
The evolution of rocks of the Zone of Erbendorf-Vohenstrauss may be sketched as follows:
(1) Amphibolite-metagabbro sequence => former olivine-tholeiites of mid-ocean ridge and ocean island composition => chemical character of oceanic crust,
(2) Garnet-Al2SiO5-muscovite-biotite gneisses => former greywackes and claystones of possible flyschoid character => ? active plate margin sediments,
(3) Eclogite facies metamorphism => deep crustal depth (around 40 km) => ? subduction of melange of oceanic crust and active plate margin sediments,
(4) Uplift, eventually to intermediate crustal depth of around 20 km => from eclogite facies to the high-pressure granulite facies to the dominating amphibolite facies conditions.
(5) Cooling down to about 350 °C and slight uplift.
(6) Low temperature deformation in the brittle field.
The continuous boundary between the gneisses of greywacke composition and
the amphibolite-metagabbro sequence (Fig. B.7.24) demonstrate that both units
had a common history at least since adaption to amphibolite facies conditions.
Fig. B.7.24: Concordant boundary between monotonous gneiss (GNS) and the
lower amphibolite-metagabbro sequence (AMP) at 3573.5 m.
(Core pieces 874G1w-x).
Acknowledgements
We thank Prof. Friedrich, Aachen, Prof. von Gehlen, Frankfurt, Dr. Herzig, Aachen, Prof. Stöckhert, Bochum, and Prof. Weber, Göttingen, for their critical and improving comments. Microprobe measurements were done at Bayerisches Geoinstitut, Bayreuth, and at Institute for Mineralogy and Economic Geology, RWTH Aachen. We thank P. O'Brien, Bayreuth, for assistance and helpful discussions about high pressure metamorphism and for improving the English text. G. Hirschmann, Hannover, provided orientation data of the foliation.

















